2023. 2. 13. 09:08ㆍ아티클 | Article/칼럼 | Column
A living and Brenthing Tourism for Architecture
A Hope to preserve Architerure Valuee
일제 강점기의 건축유산을 어떻게 볼 것인가?
현행 문화재 보호법은 개화기부터 한국전쟁 전후까지 만들어진 근대문화유산 가운데 보전·활용가치가 큰 유산들을 등록문화재로 분류해 관리하고 있다. 근대문화유산 문화재 등록 제도가 2001년 3월에 개정되면서 법률적 보호근거가 마련되었다.
일제 식민통치 침략전쟁 민족문화 말살 및 경제적 수탈로 이용된 동산 또는 부동산은 문화재로 지정하거나 등록될 수 없으면 철거가 가능하도록 되어 있으며, 기존 등록된 것도 말소가 가능하도록 규정하고 있다. 다만 역사적 교육적으로 보존 및 활용가치가 있다고 인정될 경우 역사적 보존 자료로 지정하게 됐다. 문화재 관련 학계는 이와 관련 “치욕의 역사도 지켜야 할 우리 역사”라며 “문화 선진국들은 치욕적인 인류의 과오를 보여주는 유산 등 소위 ‘네거티브 유산’들을 적극적으로 보전함으로써 쉽게 잊어버리는 대중에게 산교육의 장이 되게 하고 있다”면서 비판하고 있다.
현행 제도는 일제강점기에 지어진 건축물을 보전·활용할 수 있다. 일제 강점기 문화유적을 관광자원화 하려는 일부 지방단체의 반발도 크다. 옛 조선은행 군산지점과 옛 나가사키18은행(現 구 일본제18은행) 군산지점 등 일제 관련 유적이 많은 군산시는 “한국 근대사의 애환을 간직한 문화유산의 가치를 인정하는 것이 잘못된 것이냐”라며, 역사적 교훈을 준다는 점에서 국가적 차원에서 보전해야 한다고 맞서고 있다. 그동안 서대문형무소 복원, 동대문운동장 철거, 하룻밤 사이에 철거된 을지로 4가 국도극장 등의 근대건축문화유산 보전과 활용방안에 대하여 많은 갈등을 빚고 있는 것도 사실이다. 근대 건축유산들을 어떻게 보전 활용할 것인가 하는 문제는 건축역사 학계에서 오랫동안 제기되어 왔다.
예산군에서 예산읍 주교리 239-1 외 7필지 농업미곡창고의 인테리어 필요성을 찾고자 실측한다는 정보에, 예산군 비서실 연결을 통해 관련부서인 도시재생과 김상혁 팀장과의 대화를 나눴다. 그 과정에서 학술의 가치를 찾을 수 있는지 의견을 제시하고, 약속한 날짜인 올 9월 3일 학술의 가치와 건축의 기법을 알고자 서울특별시건축사회 사진 답사회장인 삼정환경건축의 김창길·엄성용 건축사를 대동해 현장을 방문했다. 오전 10시에 사무실을 출발하여 예산에 12시경 도착했고, 점심 식사 후 현장을 찾았다. 예산군 김상혁 도시재생과팀장, 김상훈 주무관과 주교리 장정순 이장님이 반갑게 맞이하며 현장을 안내했다.

일제 강점기 건축물 활용방안 발굴조사
조사일 2021년 9월 3일
조사자 김득수
건축개요
1. 건 축 주 예산군, 관리부서–도시재생과 팀장 김상혁, 주무관 김상훈
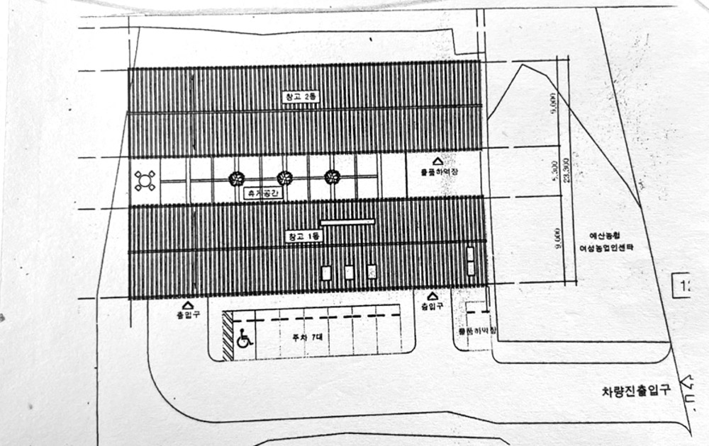
2. 대지위치 충청남도 예산군 예산읍 주교리 239-1 외 7필지
3. 주요용도 지상 1층 2개동 창고(농업) 1개동 철거년도 확인
4. 주요구조 철근 콘크리트 벽식구조, 목조왕대공트러스 양철(아연즙평가건) 지붕마감
5. 주요마감 외부–시멘트몰타르위 뿜칠, 내부-석고 회반죽, 변화과정-없음
6. 현재면적 가동 약 330㎡(100평), 나동 약 330㎡(100평), 중간연결동 약 198㎡(60평)
7. 최고높이 7.42m
8. 건 폐 율 농업창고설치 2개동 현존 1개동 약 330㎡(100평) 철거
9. 준공년도 1925년 농업창고 약 661㎡(200평) 준공
1931년 7월 착공준공 창고건평 330㎡(100평) 증축
전문기술협력
1. 실측 설계 조지현 건축사_주.청운 건축사사무소 / 충청남도건축사회
2. 현장 사진 김창길·엄성용 건축사_삼정환경 건축사사무소 / 서울특별시건축사회
3. 전기·소방 서기봉_소방 설비기술사
4. 인테리어분야 -
5. 종합현장조사 김득수 건축사_종합건축사사무소 S.S.P. 삼대 / 서울특별시건축사회
6. 참여대학교수 김영재 교수_한국전통문화대 문화재수리기술학과



1909년 『韓國各府郡 市場 商況 調査書』
(한국각부군 시장 상황 조사서)

내포지역(內浦地域)에 장항선 철도가 부설(1922년 6월)되기 10년 전 예산은 농산물의 집산지요, 도매의 신상(臣商)들이 집거(集居)하고 있던 상업의 요충지였다. 예산은 당시 도청소재지였던 공주보다 경제와 금융면에서 성황을 이루며 충남 서부지역의 중심지 역할을 했다. 그 배경을 물동 거래의 액면으로 보면 다음과 같다.
1909년에 발행된 『한국각부군 시장 상황 조사서(韓國各府郡 市場 商況 調査書)』를 보면, 도청소재지인 공주는 지방행정의 중심지일 뿐더러 기본단위가 되는 면(面)의 수 21면에 그 당시에 인구가 100,578명이나 되는 반면, 예산은 12면에 19,895명에 불과한 협소한 면적에 소수의 인구밖에 안 되는 예산의 연간취인액(年間取引額)은 310,000원으로, 공주의 260,000원과 비교해 볼 때 큰 차이로 높게 나타나고 있는 것을 볼 수 있다. 이로써 내포지역에 경남철도가 1922년 6월에 부설되기 10년 전에 예산은 이미 농산물의 집산지이자 금융경제의 중심지였음을 알 수 있다.
문화재 연혁 및 성격
예산 미곡창고는 당시의 목구조 건축기술로 2층도 짓기 어려운 시기에 구하기 힘든 건축자재, 장비와 숙련된 기술을 요하는 기능공 부족의 어려운 여건 속에서도 1922년 경남철도가 천안에서 예산까지 개통되면서 1925년 미곡창고 2개동 약 661제곱미터(200평)가 준공됐다. 그 이후 1개동 약 330제곱미터(100평) 증축이 1931년 완성된 건축물로, 독특한 형식의 철근콘크리트 벽식구조에 정교한 목조 왕대공 지붕트러스 건축기법을 구사하였다. 미곡창고의 기능에 걸맞은 전·후면 상하부의 환기창, 지붕의 환기시설 및 벽체 내·외부의 작은 습도조절 환기구 설치로 전형적인 미곡창고 기능을 충실히 수행할 수 있도록 설계되어 완성되었다.
철도 개통 이전에 인천과 서울에서 미곡집산지대인 군산을 연결하는 해로의 중간지점에 있는 선장 포구는 내포로 들어가기 위한 교두보 역할이었다. 1922년 6월에 경남철도가 부설되면서 인천으로부터 직접 운송으로 철도를 통한 다량의 물류 수송이 가능해졌기 때문에 물길을 통한 기존의 물품 운반로는 쇠퇴했다. 경남철도는 1922년 천안에서 신례원(예산)까지 개통되며 1924~1925년에 광천과 보령까지 개통되었고, 1931년에 이르러 군산까지 완전 개통되었다. 철도 개통 이후 통계에 의하면, 1920년에서 1935년까지 예산군의 인구는 약 2만 8,000명이었으며 그중 일본인은 360명 정도가 거주하고 있는 것으로 나타난 것을 기록에 의하여 확인할 수 있다.
1931년 철도개통을 계기로 세워진 예산군 미곡보관 창고건축물은 일제강점기에 조선의 물자가 수탈되었던 아픈 역사를 간직하고 있는 건축물로, 학술적인 가치를 지니고 있다는 생각에 당시의 미곡창고에 대한 건축물의 이력, 이용현황, 현황조사 및 각종 문헌을 조사하였다.


창고로 방치돼 있던, 옛 일제강점기시대의 수탈의 역사를 간직한 증거물로 100년 가까이 보존된 미곡창고. 오랜 세월이 고여있는 듯 정적이 배어 있어 들뜬 마음으로 들어선 창고의 깜깜한 내부, 그 넓은 공간에 높이 매달려 있는 희미한 천정 등은 고작 3개뿐으로, 조사에 임하는 것은 그리 쉽지가 않아 보였다. 다행스러운 것은 사진답사 전문 분야인 작가가 아니면 해결할 수 없는 사실로 나타났다. 건축물의 외벽과 내벽마감재 지붕목조 트러스 등의 보수 흔적이 없으며, 지붕, 천정, 수동식 환기구 및 환기창 등이 원형 그대로 남아 있어 1925년도 준공 건축물로 믿을 수가 없었다.

콘크리트 벽식구조에 외벽, 내벽의 작은 구멍은 항온·항습 기능을 위한 숨통으로 보였다. 바닥에서 올라오는 습기를 차단하고 공기순환 역할을 하는 하부 환기구 및 외부, 내부 하부와 상부의 통풍구 단면구조는 방법용 환봉 설치 병충해를 막는 방충망으로 구분하고 있다. 미곡창고로써 완벽한 구조 상태로 잘 보전되어 있다(사진 참조).

환기구 및 벽체 내·외부 습도조절 확인 사진
지붕상부 천장의 수동식 환기구 및 환기창. 미곡창고 건축의 전형적인 형태를 갖추고 있는 것을 확인할 수 있다(사진참조).










예산 농업미곡보관창고는 독특한 형식의 철근콘크리트 벽식구조로 그 상부에 도리 방향으로 상호 연결된 목조 왕대공 트러스를 정교한 지붕으로 가설한 일제강점기 창고 건축물로 매우 특이한 건축시공 기법을 볼 수가 있다(사진 참조).
동간 연결된 공간 모습



인천, 군산, 목포 등 개항 도시를 비롯한 여러 곳에서 현재 근대건축물 보전 운동이 일어나 도시재생사업으로 보존 및 개·보수하여 관광지로 많은 사랑을 받고 있다. 특히 논산 강경지방은 근대건축물이 집중적으로 남아있는 일대를 강경근대문화거리로 조성하여 많은 관심을 받고 있으며, 관광지로서 지역 경제 활성화에 많은 도움을 주고 있다. 이제 막 연구·조사가 활발하게 진행되고 있는 충남 예산 미곡창고도 근대 건축문화유산의 보전과 지역경제 활성화 차원에서 적극적으로 검토할 필요가 있다고 본다.
인천광역시, 군산시, 충남 논산시 강경읍, 예산군 예산읍에 존치되어 있는 개항장 일대 근대건축물, 폐 장항선 철로, 간이역 등 기타지역은 근대산업시설을 공연장, 미술관 등 문화공간으로 활용하는 사업을 지방자치권에서 추진하여 활용하면서 많은 호응을 얻고 있다.
당시의 건축기술로 2층 구조의 목조 건축물을 짓기 어려운 시기였음에도 불구하고 구하기 힘든 건축자재, 장비 등 숙련된 기술을 필요로 하는 기능공 부족 등의 어려운 여건 속에서 완성된 목조 건축물이 현재까지 보존되어 있다는 것은 해당 예산군 관계자와 건축물에 대한 애착이 있는 건축사의 사명감에 따른 소신이라고 본다.
결론적으로 건축은 과거 시대를 거쳐 변화해온 다양한 양식의 건축물로 현재, 미래를 돌아볼 수 있는 시대의 거울이라고 할 수 있다. 이에 정부 및 지방자치단체는 보전 가치가 높은 근대건축문화 유산을 적극 발굴하여 현황을 파악하고 조사하여 체계적인 보존 및 활용방안을 마련하고, 친환경 및 재활용 자재를 사용해 ‘환경과 공존’을 만들어 문화·예술적 가치를 알리고 정서적 휴식 공간을 제공하기 위해 적극적인 대책을 마련해야 한다.
글. 김득수 Kim, Deuksoo 종합건축사사무소 S.S.P.삼대

김득수 종합건축사사무소 S.S.P.삼대 대표·건축사
영등포구지역건축사회 회장(3회 연속), 서울특별시건축사회 회장 직무대행, 대한건축사협회 이사·감사 등을 역임하고, 대한건축사협회 50년사 발간위원장을 지냈다. 서울 영등포구, 동작구 건축·민원조정 위원, 에너지관리공단 건축·도시·관광 단지 심의위원 등을 역임했으며, 예산읍 초대 명예읍장으로 위 촉(1997.02.15.~2006.12.03.)된 바 있다. 서울특별시 시장 표창 5회와 대통령 표창(제200398호)을 받았으며, ‘일제시대 소읍도시 형성과정에 관한 연구’, ‘일제강점기 근대도시의 도 시공간 변화 특성에 관한 연구’ 등의 논문을 작성했다.
'아티클 | Article > 칼럼 | Column' 카테고리의 다른 글
| [건축비평] 세종시 커브하우스 2022.1 (0) | 2023.02.15 |
|---|---|
| [건축비평] 인간과 역사를 마주한 건축사 이광만 2021.11 (0) | 2023.02.13 |
| 서울건축사 등산동호회 특별산행, 설악산 공룡능선 산행기공룡의 등을 타고 가면서 신비로운 선경에 빠져들다 2021.11 (0) | 2023.02.13 |
| [건축비평] 유신재오래된 신선함 2021.10 (0) | 2023.02.10 |
| [건축비평] 빌라 드루마을의 마을 2021.9 (0) | 2023.02.09 |